FEMA NFIP delineates flood zones for insurance rating purposes.  An odd fact is that when FEMA NFIP creates a map, every part of the town is within a flood zone.  The basic zones are VE, AE and X.  They do not create these to designate wetlands; they specifically designate the level of danger of flooding.

The VE Zones are the velocity zones with waves expected that exceed 3 feet in height.  The AE are split into Coastal AE and AE where the Coastal AE have waves expected 1-3 feet in height and the AE which are less exciting with waves less than 1' in height.  The VE and AE are both the expected flooding from a 1% Chance Storm or 100-year Storm Event.  This is slightly a misnomer as that 1% chance storm also has to coincide with high course tides and come from the right direction - Our 100-year storm will likely be a NorEaster and the Nantucket Sound side will not endure the wave action, but there is a chance that the 100-year storm will come from the south in which case our northeast exposure will not endure the wave action.

The X Zone is split into Shaded X and X.  Shaded X is the limit of the 500-year storm event and the X Zone includes areas with a minimal chance of flooding.  If the water tower breaks and a house is flooded with a million gallons of water, then homeowners insurance will not cover the damage.

Fill is prohibited in a VE Zone.  There are exceptions that allow for beach nourishment, dune nourishment and bank restoration.

Fill is permitted in an AE Zone.  The mapped line does not change for Flood Insurance purposes unless a LOMR-F (Letter of Map Revision based on Fill) is submitted to and approved by the FEMA NFIP.

Flood insurance is required for dwellings and buildings within the AE or VE Zones where the property is encumbered by a loan backed by the US Government.  When you apply for a mortgage, you pay $15 for a company in Texas to look at a map and determine if your house is within a flood zone.  If you are mapped within a flood zone, then you should obtain an Elevation Certificate from a surveyor to determine the specifics of the property; this document is sent to the insurance agent who can then determine your premium.

If the map is wrong and your house should not be within the floodplain, then one can apply for a LOMA (Letter of Map Amendment).

You can also LOMA and LOMR portions of properties.  It requires more work from a surveyor / engineer, but it can be worth it when more development is expected to occur within the floodplain.

FEMA NFIP does have a program that reviews local bylaws and regulations.  A participating community is required to enact certain minimum regulations in order to continue to participate in the NFIP.  Chatham meets this with the Protective Bylaw Flood Plain District Overlay.  From there, the NFIP reviews the other regulations.  In the case of Chatham, we have the Protective Bylaw Conservancy District Overlay and the Conservation Regulations.  Based on the nature of these rules, those with flood insurance enjoy a 10% discount on their premiums.  If the rules were more stringent, then the savings would increase up to 45% or 50%.  Only one Community has rules so strict to enjoy the maximum discount and I cannot imagine how difficult it would be to permit something there.

MA DEP takes things a step further than the FEMA NFIP.  310 CMR 10 states that the floodplain alone is a resource area but does not encumber the area with the same level of performance standards as other areas.  The NOI form includes notation of the amount of Land Subject to Coastal Storm Flowage that is altered, but there are no prohibitions on filling LSCSF.  There are prohibitions to filling within certain resources like salt marshes and there are restrictions for filling in vegetated wetland (capped at 5000 S.F.).

There is concern about 310 CMR 10.03(3) which refers to 310 CMR 15 (Title 5, the septic code).  The coastal resource areas for concern are coastal bank, coastal beach, coastal dune and salt marsh.  There is no buffer from Land Subject to Coastal Storm Flowage to a septic system under Title 5 or the Wetlands Protection Act Regulations.

The Chatham Board of Health has increased their regulations to require more fill over a septic within a flood zone when there is an increase in the sewage flow from a building.  The top of the leaching must be at least one foot above the base flood elevation to comply.  If the upgrade does not include an increase of sewage flow, then the system can be as low as possible, but still must meet the five foot separation to groundwater.

The following are some recent examples of fill within flood plain approved by the requisite authorities.

2015 - Wightman - The septic system is in the flood plain and requires fill within the flood plain.  The septic system meets the 100' setback to the nearby salt marsh.  This was approved by the Board of Health without a Variance.

Part of the project is raising the house to meet the minimum height above the base flood elevation pursuant to the Town of Chatham Protective Bylaw.  Once the work has been completed, a LOMA will be filed with FEMA NFIP to remove the dwelling from the flood zone.  No permit from FEMA is required for the septic system.

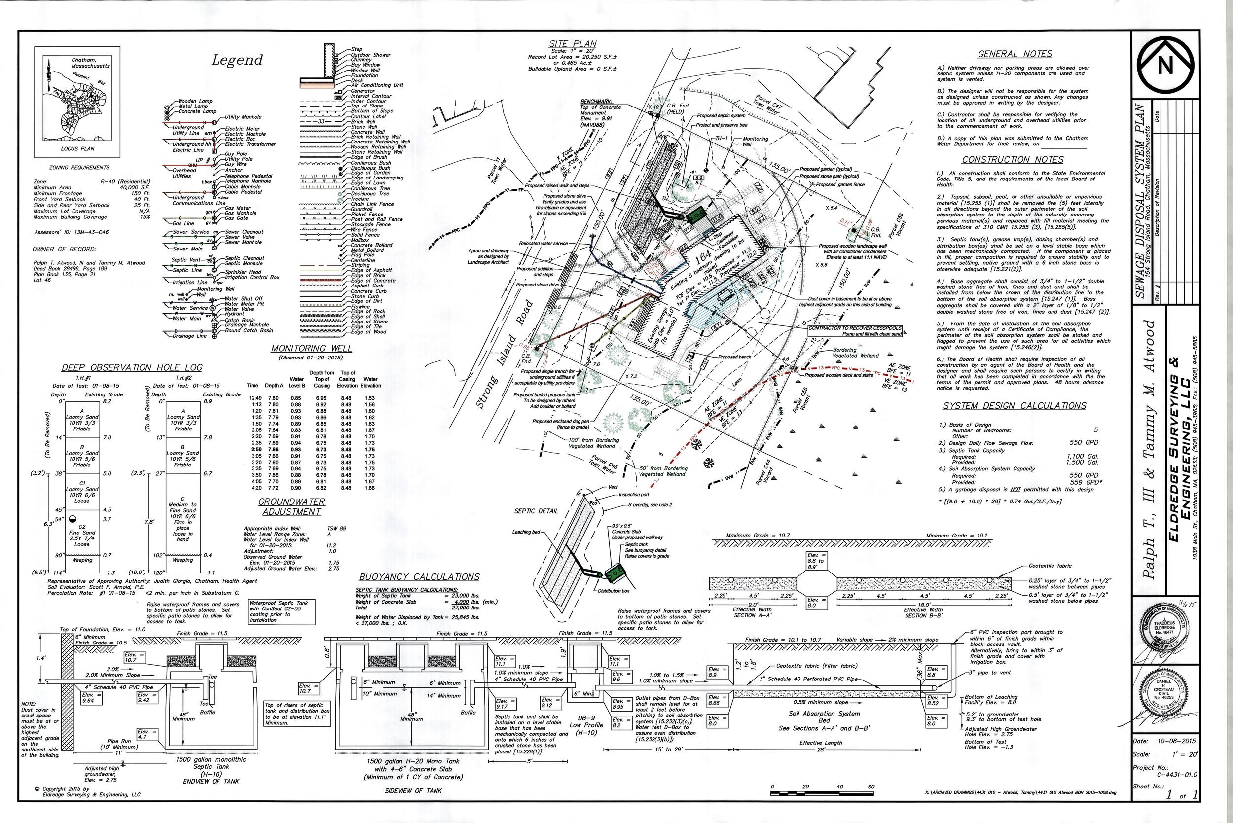
2015 - Atwood - The septic system is in the flood plain and requires fill within the flood plain.  The local exception for the elevation above the system was invoked as the sewage flow was not increased with the alterations to the building.  The septic system meets the 100' setback to the nearby vegetated wetland.  This was approved by the Board of Health without a Variance.

Part of the project is raising the house to meet the minimum height above the base flood elevation pursuant to the Town of Chatham Protective Bylaw.  Once the work has been completed, a LOMA will be filed with FEMA NFIP to remove the dwelling from the flood zone.  No permit from FEMA is required for the septic system.

2015 - Campbell - The application was to add fill to remove a dwelling from a flood plain.  A Conditional Letter of Map Revision based on Fill was obtained.  When the project is complete, a Letter of Map Revision based on Fill will be obtained to remove the structure from the flood plain.